Artemisia annua, auch bekannt als Einjähriger Beifuß, ist eine bemerkenswerte Heilpflanze mit vielseitigen Anwendungen. Aber was kann Artemisia annua genau und wo ist diese Heilpflanze nützlich?
Was ist Artemisia annua?
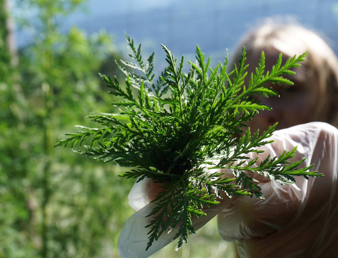
Artemisia annua, auch bekannt als Einjähriger Beifuß, ist eine Pflanze, die seit Jahrhunderten in der traditionellen chinesischen Medizin verwendet wird. Sie ist bekannt für ihre zahlreichen gesundheitlichen Vorteile, insbesondere im Kampf gegen Malaria.

Ursprung und Eigenschaften
Artemisia annua stammt ursprünglich aus Asien und Osteuropa und wird heute weltweit angebaut. Die Pflanze enthält eine Vielzahl von bioaktiven Verbindungen, von denen Artemisinin die bekannteste ist. Artemisinin hat starke antimalariale Eigenschaften und wurde als Grundlage für moderne Malariamedikamente verwendet.

Gesundheitliche Vorteile
Neben ihren antimalarialen Eigenschaften bietet Artemisia annua auch andere gesundheitliche Vorteile. Die Pflanze hat entzündungshemmende, antioxidative und immunmodulierende Eigenschaften. Diese machen sie nützlich bei der Behandlung von verschiedenen Erkrankungen wie Entzündungen, Infektionen und bestimmten chronischen Krankheiten.
Anwendung
Artemisia annua kann in verschiedenen Formen angewendet werden, einschließlich Tee, Tinkturen, Balsame, Hydrolate, Oxymel Tinkturen und Kapseln. Der Tee aus den Blättern der Pflanze wird oft zur allgemeinen Gesundheitsförderung getrunken. Tee und Tinktur sind in der Regel stärker konzentriert und werden bei spezifischen gesundheitlichen Beschwerden eingesetzt.

Forschung und Studien
Die Forschung zu Artemisia annua hat in den letzten Jahren zugenommen, insbesondere aufgrund ihrer Wirksamkeit gegen Malaria. Studien haben gezeigt, dass die Pflanze nicht nur gegen Malariaparasiten wirksam ist, sondern auch das Potenzial hat, gegen andere Parasiten und Mikroorganismen zu wirken. Es wird weiterhin intensiv geforscht, um die volle Bandbreite der therapeutischen Anwendungen dieser bemerkenswerten Pflanze zu verstehen.
Jetzt bio Artemisia annua Produkte bestellen unter www.plantasanus.at